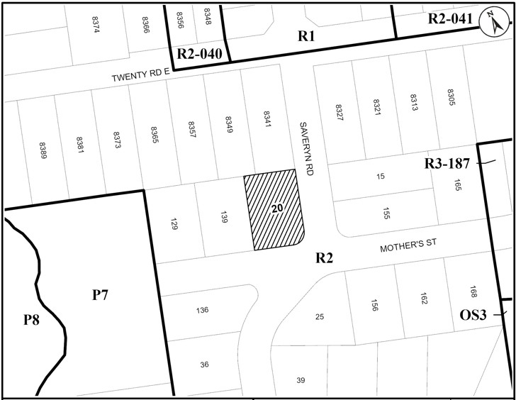
Public Meeting for 20 Saveryn Road, Glanbrook
Notice of Public Meeting of the Planning Committee for an Official Plan Amendment
Have your say about the proposed development
You are invited to attend and participate in the Public Meeting of the Planning Committee before a decision is made on the application(s).
Tuesday, October 21, 2025 (Meeting starts at 9:30 am)
Hamilton City Hall
Council Chambers, 2nd Floor, 71 Main Street West, Hamilton
The City of Hamilton is conducting meetings in a hybrid format via an in-person and Webex platform. All Hybrid Meetings can be viewed at: www.hamilton.ca/MeetingAgendas
Learn more. Share your thoughts. Stay Involved.
Purpose of the meeting
- For Planning Division staff to present a report that provides information on the application, addresses issues raised during the review of the application, and provides a recommendation on the proposal.
- For the public to share their thoughts on the application.
- For Planning Committee to make a decision on the application before it proceeds to Council.
The Planning Division’s staff report is available on or after October 15, 2025. The report can be accessed on the Planning Committee agenda www.hamilton.ca/MeetingAgendas or by contacting Shaival Gajjar at 905-546-2424 ext. 5980 or by email at [email protected].
There are a number of ways you can participate:
- Attend the meeting in-person or virtually.
- Register to speak at the meeting.
- Submit a pre-recorded video with your comments.
- Submit written comments by 12 noon on October 20, 2025 to the Legislative Coordinator, Planning Committee by email at [email protected].
Be sure to review the Appeal Rights and Collection of Personal Information sections below.
Application Process

Additional information. Planning Act requirements.
Related Applications: The property that is the subject to this application is also subject to an application for Minor Variance and Severance under the Planning Act. Files B-25:010 and A-25:023.
Notice of Decision
If you wish to be notified of the decision of the City of Hamilton on the application(s) you must make a written request to:
Legislative Coordinator, Planning Committee
City of Hamilton
71 Main Street West, 1st Floor, Hamilton, ON, L8P 4Y5
Or by email to [email protected]
Appeal Rights for Official Plan Amendments
In accordance with the provisions of the Planning Act, appeals may be made only by specified persons, public bodies, or registered owners of land to which the amendment applies, as defined by the Planning Act.
- If a person or public body would otherwise have an ability to appeal the decision of Council, City of Hamilton to the Ontario Land Tribunal but the person or public body does not make oral submissions at a public meeting or make written submissions to the City of Hamilton before the proposed official plan amendment is adopted or before the by-law is passed, the person or public body is not entitled to appeal the decision.
- If a person or public body does not make oral submissions at a public meeting or make written submissions to the City of Hamilton before the proposed official plan amendment is adopted or before the by-law is passed, the person or public body may not be added as a party to the hearing of an appeal before the Ontario Land Tribunal unless, in the opinion of the Tribunal, there are reasonable grounds to add the person or public body as a party.
The general public and other interested parties not defined are no longer eligible to file Planning Act Section 17(24), 17(36) and 34(19) appeals. For more information, visit Bill 185, Cutting Red Tape to Build More Homes Act, 2024
Collection of Personal Information
Information respecting this application is being collected under the authority of the Planning Act, R.S.O. 1990, c.P.13. All comments and opinions submitted to the City of Hamilton on this matter, including the name, address and contact information of persons submitting comments and/or opinions, will become part of the public record and will be made available to the Applicant and the general public and will appear on the City’s website unless you request that the City remove your personal information.
If you need any accommodations to attend and participate at the meeting, please contact the Office of the City Clerk at [email protected] one week prior to the meeting. Advance requests are highly encouraged to enable us to meet your needs adequately.
This Notice was issued by the City of Hamilton’s Legislative Coordinator, Planning Committee on October 10, 2025.